Режим работы
Понедельник: выходной
вторник: экскурсии
СР - ВС: 10:00 — 18:00

Тайна имени насекомого

Насекомые в великом изобилии наполняют наши леса, сады, поля и даже пустыни. Их внешний вид и строение весьма разнообразны. Чтобы разобраться в этом многообразии, ученые систематизировали близкородственные виды в роды, а роды в семейства. Систематические названия иногда весьма причудливы. Чаще всего они отражают внешний вид, характер питания или образ жизни насекомых.

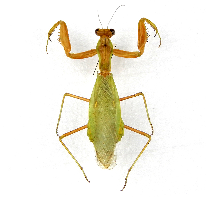
В Ставропольском государственном музее-заповеднике хранится более 40 000 насекомых. Названия некоторых из них вызывают вопросы, названия других – очевидны. Например, богомол подстерегает добычу в «молитвенной» позе. Он сидит в толще травы или среди листьев кустарника, приподняв передние ноги, голени которых вложены в бедра, как лезвие перочинного ножа. Как только наступает момент, передние ноги за доли секунды хватают жертву, а острые шипы по внутренним сторонам передних лап крепко ее держат.

БОГОМОЛ.JPG

Богомол. Из фондов Ставропольского музея-заповедника

Уховертка – насекомое с удлиненным телом, короткими надкрыльями, под которыми спрятаны задние крылья. Самое главное ее отличие – две длинные «сабли» – церки на конце брюшка. Об уховертке рассказывают немыслимые, научно неподтвержденные истории. Якобы она заползает спящему человеку в ухо и каким-то неизвестным путем добирается до мозга (отсюда и название). На самом деле это, конечно же, не так. Мало кто видел уховертку с расправленными крыльями, приготовленными к полету. Однако она умеет летать. Полеты уховертка совершает ночью, особенно в брачный сезон – распускает свои широкие красивые крылья и летает над кустами роз или грядками клубники. Расправленные крылья уховертки напоминают анатомический рисунок уха человека. Вот откуда пришло истинное название уховертки.

Уховертка.jpg

Уховертка. Из фондов Ставропольского музея-заповедника

Муравьиный лев – похожее на стрекозу длиннокрылое насекомое. А название относится к личинке этого насекомого и связано с ее образом жизни. 

МУРАВЬИНЫЙ ЛЕВ.JPG

Муравьиный лев. Из фондов Ставропольского музея-заповедника

В песке или мягких сыпучих почвах эта похожая на клеща личинка роет ямку, стенки которой воронкой сходятся вниз к тому месту, где она затаилась. Как только в ловчую воронку упадет муравей, личинка муравьиного льва сейчас же хватает его челюстями, впрыскивает через них яд, держит челюстями насекомое и постепенно высасывает. Так и погибает несчастный муравей. Поэтому для муравьев личинки этого коварного насекомого действительно «львы».

Личинка муравьиного льва.JPG

Личинка муравьиного льва. Из фондов Ставропольского музея-заповедника

Наездники – насекомые-паразиты (самки с длинным яйцекладом), получившие свое название за присущую большинству видов характерную позу при откладке яиц: насекомое садится верхом на жертву и изгибает брюшко вниз, вкалывая яйцеклад в тело хозяина. Жертва при этом продолжает двигаться. Яйца наездники либо откладывают в тело хозяина, либо прикрепляют сверху.

НАЕЗДНИК.JPG

Наездник. Из фондов Ставропольского музея-заповедника

Жуки-нарывники получили свое название за чрезвычайно токсичный яд, который, попав на кожу человека, способствует образованию ожогов и даже волдырей. На Кавказе и юге России встречается нарывник – майка черная. Это насекомое ни в коем случае нельзя трогать руками.

жуки.jpg

Жуки-нарывники. Из фондов Ставропольского музея-заповедника

Вообще юг Росси и Кавказ богат экзотическими насекомыми. Встречается здесь и чрезвычайно яркая бабочка-адмирал. Она черно-бурая, а на крыльях ее красные полосы, как лампасы на черном адмиральском мундире.

АДМИРАЛ.JPG

Адмирал. Из фондов Ставропольского музея-заповедника

Т.В. Проконова

© Ставропольский государственный историко-культурный и природно-ландшафтный музей-заповедник имени Г. Н. Прозрителева и Г. К. Праве, 2026 г. Использование материалов сайта без согласования с администрацией сайта и без указания источника запрещено.

Теги:
Природа
Основные залы музея
Боевая доблесть Ставрополья
Боевая доблесть Ставрополья
Зал этнографии
Зал этнографии
Зал природы
Зал природы
Зал археологии
Зал археологии